跳到主要內容
:::
Facebook Line Twitter

財政部國有財產署北區分署花蓮辦事處114年度招標第62批 國有非公用不動產

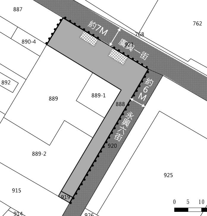
◎非屬標售公告內容,僅供參考使用,投標人應依地政機關核發資料自行查看相關位置,不得以本位置圖記載有誤而要求損害賠償或解除買賣契約退還保證金。

土地標示:花蓮縣吉安鄉永興段0888-0000地號 土地標示:花蓮縣吉安鄉永興段0919-0000地號

位置圖

照片一

照片二

照片三