跳到主要內容
:::
Facebook Line Twitter

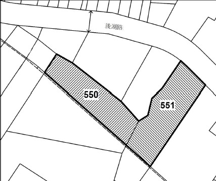
財政部國有財產署北區分署115年度招標第13批 國有非公用不動產

◎非屬標售公告內容,僅供參考使用,投標人應依地政機關核發資料自行查看相關位置,不得以本位置圖記載有誤而要求損害賠償或解除買賣契約退還保證金。

土地標示:新北市林口區湖北段0550-0000地號

位置圖

照片一