跳到主要內容
:::
Facebook Line Twitter

財政部國有財產署南區分署111年度招標第2批招標設定地上權

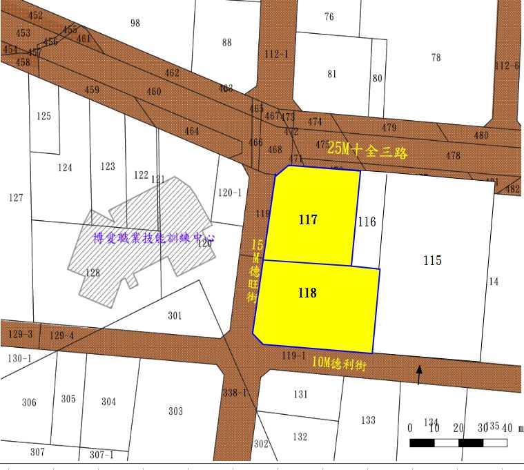
◎非屬招標設定地上權公告內容,僅供參考使用,投標人應依地政機關核發資料自行查看相關位置,不得以本位置圖記載有誤而要求損害賠償或解除契約退還保證金。

土地標示:高雄市三民區新都段0117-0000地號

位置圖

照片一

照片二