財政部國有財產署北區分署113年度招標第2批第1標 標租房地與租賃住宅包租業資訊
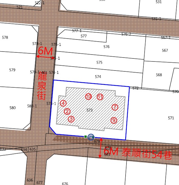
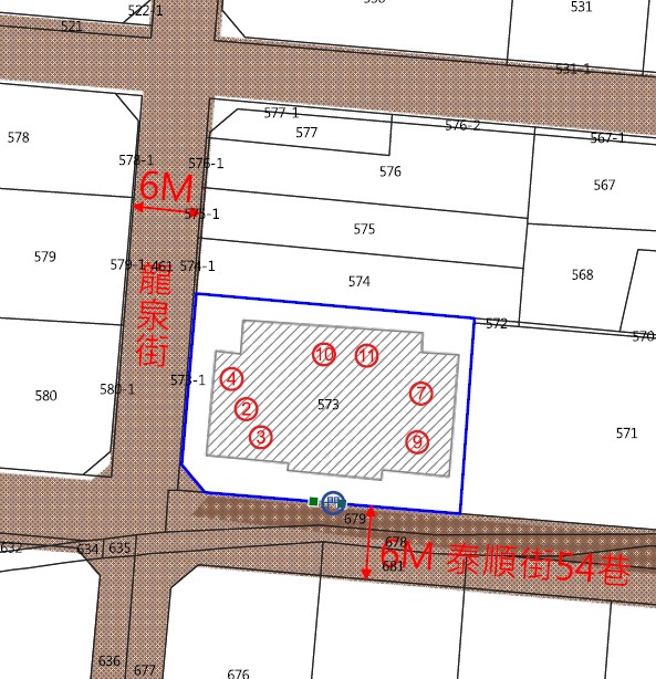
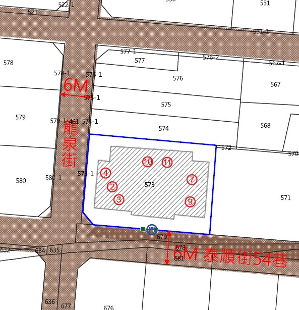
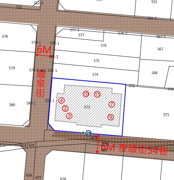
◎非屬標租公告內容,僅供參考使用,投標人應依地政機關核發資料自行查看相關位置,不得以本位置圖記載有誤而要求損害賠償或解除契約退還保證金。
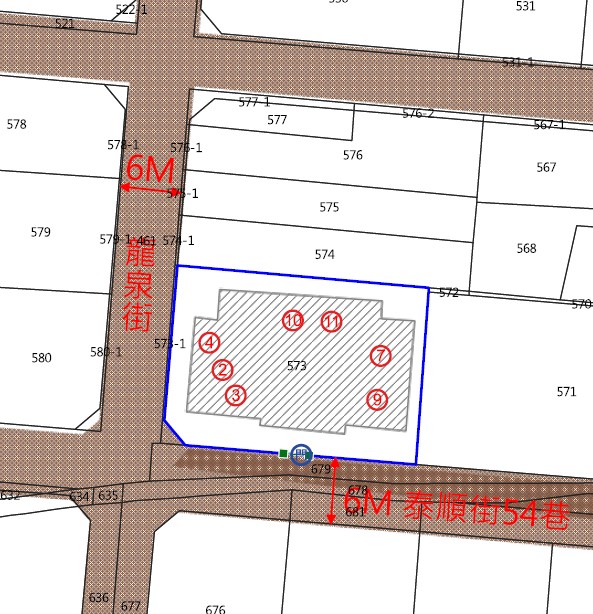
土地標示:臺北市大安區龍泉段二小段0573-0000地號
臺北市大安區龍泉段二小段01297-000建號
臺北市大安區龍泉段二小段0573-0000地號
臺北市大安區龍泉段二小段01298-000建號
臺北市大安區龍泉段二小段0573-0000地號
臺北市大安區龍泉段二小段01299-000建號
臺北市大安區龍泉段二小段01297-000建號
臺北市大安區龍泉段二小段0573-0000地號
臺北市大安區龍泉段二小段01298-000建號
臺北市大安區龍泉段二小段0573-0000地號
臺北市大安區龍泉段二小段01299-000建號
位置圖
照片一
照片二
照片三
土地標示:臺北市大安區龍泉段二小段0573-0000地號
臺北市大安區龍泉段二小段01302-000建號
臺北市大安區龍泉段二小段01302-000建號
位置圖
照片一
照片二
照片三
土地標示:臺北市大安區龍泉段二小段0573-0000地號
臺北市大安區龍泉段二小段01303-000建號
臺北市大安區龍泉段二小段01303-000建號
位置圖
照片一
照片二
照片三
土地標示:臺北市大安區龍泉段二小段0573-0000地號
臺北市大安區龍泉段二小段01304-000建號
臺北市大安區龍泉段二小段01304-000建號
位置圖
照片一
照片二
照片三
土地標示:臺北市大安區龍泉段二小段0573-0000地號
臺北市大安區龍泉段二小段01351-000建號
臺北市大安區龍泉段二小段01351-000建號
位置圖
照片一
照片二
照片三